2026. április 11., szombat

Mesterhármas a Csendes-óceán keleti részén 2015. május végén, június elején, avagy szezonkezdet erõs hurrikánokkal és több rekorddal

Rekordok - Publikálva: 2015-06-21 18:19 | Becsült olvasási idő: kb 7 perc.

A Csendes-óceán keleti térségében meglehetõsen aktívan kezdõdött a 2015-ös hurrikánszezon, ugyanis egymás után 3 hurrikán is kialakult, melyek közül 2 erõs hurrikán* volt. Bár az elsõ ciklon, Andres majdnem két héttel a hivatalos, május 15-ei szezonkezdet után alakult ki, rögtön 4-es kategóriájú hurrikán lett belõle. Az õt néhány nappal követõ Blanca szintén 4-es erõsségûként tetõzött. Végül Carlos zárta a sort, rendkívül kis méretû 1-es erõsségû hurrikánként.

 

*3-as vagy annál magasabb kategóriájú hurrikán

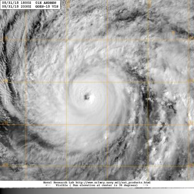
Andres hurrikán

 

Az Andres trópusi ciklon egy kiterjedt zivatarmezõbõl fejlõdött ki május 28-ára virradó éjszaka. A szélsebesség elõször még nem érte el a 65 km/h-t (35 csomót), így trópusi depresszióként sorolták be. Néhány órával késõbb azonban, amikor már 65 km/h-s szél fújt benne, trópusi vihar lett, és ekkor kapta meg a nevét is. A trópusi vihar estére jól szervezett struktúrát alakított ki (felsõ kép), a központjában vastag, kiterjedt zivatarfelhõzettel, a nyugati oldalán pedig egy nagyobb spirális zivatarsávval. Ennek köszönhetõen gyorsan erõsödött a rendszer, késõ este már erõs trópusi vihar lett. Ekkor rövid idõre megállt Andres erõsödése, de ez 29-én ismét folytatódott. Ekkor késõ délután már 1-es kategóriájú hurrikán lett a ciklon, 120 km/h-s (65 csomós) szélsebességgel. Az ekkor készült mûholdképeken (alsó kép) a központi, kiterjedt zivatarfelhõzetben meg lehetett figyelni kisebb kinyúló tornyokat, melyek rendszerint az erõsödõsben lévõ trópusi ciklonok ismertetõjegyei.

 

2015.05.28. 12:01 (helyi idõ)

 

2015.05.29. 16:31 (helyi idõ)

 

Így nem is volt meglepõ, hogy Andres folytatta az erõsödését, és 30-án estére már erõs 2-es kategóriájú hurrikán lett, 175 km/h-s (95 csomós) széllel. Ekkorra a hurrikán központjában egy határozott, de még felhõkkel borított szem is kialakult. Ezt követõen rövid idõre ismét stagnált a ciklon erõssége, de 31-én újabb erõsödési hullámot produkált. Ebben 12 óra alatt elérte a 4-es kategóriát, és a szeme is kitisztult (felsõ kép). A hurrikán június 1-jére virradó éjszaka volt a legerõsebb 240 km/h-s (125 csomós) szélsebességgel. A központjában ekkor 938 hPa-ig süllyedt a légnyomás. Ezt követõen Andres hidegebb víz fölé érve fokozatos gyengülésbe kezdett, de 1-jén még végig erõs hurrikán maradt, és megõrizte jól szervezett struktúráját, határozott szemmel és vastag szemfallal (alsó kép). A ciklon 3-ára virradón gyengült trópusi viharrá, és ekkor már jóval szervezetlenebb lett a struktúrája is. Végül 4-én teljesen megszûnt a zivatarképzõdés a központja közelében, így poszttrópusi ciklonná nyilvánították.

 

2015.05.31. 16:30 (helyi idõ)

 

2015.06.01. 12:00 (helyi idõ)

 

Blanca hurrikán

 

Az Andres hurrikán tetõzésével egy idõben mögötte egy másik ciklon indult fejlõdésnek. Ebben június 1-jére virradó éjszaka már szervezett zivatarképzõdés alakult ki, így trópusi depresszióvá nyilvánították. Az Andres hurrikán által elõidézett erõs magassági szél azonban kezdetben még gátló hatást fejtett ki a ciklonra, így az csak lassan erõsödött. A szélsebesség 1-jén reggel érte el benne a 65 km/h-t (35 csomót), így ekkor Blanca néven trópusi viharrá minõsítették. Blanca a következõ 24 órában csak kis mértékben erõsödött, így 2-án reggel közepes trópusi vihar volt 100 km/h-s (55 csomós) szélsebességgel. Ekkor azonban kedvezõvé váltak számára a légköri feltételek, így 24 óra alatt jelentõsen megerõsödött, és 3-án reggel már 4-es kategóriájú hurrikán lett 215 km/h-s (115 csomós) szélsebességgel és 948 hPa-os központi légnyomással. A hurrikán ekkorra egy kis méretû, felhõmentes szemet is kialakított, vastag szemfallal (felsõ kép). Az elõrejelzések ekkor további erõsödést mutattak, és a ciklon akár az 5-ös kategóriát is elérhette volna. A már bõ két napja szinte egy helyben álló hurrikán azonban az erõs szél miatti hullámzás által lehûtötte maga körül a tengervizet, illetve hamarosan egy szemfal-kicserélõdési folyamat is megindult benne. Emiatt 3-án este el is érte legnagyobb intenzitását 220 km/h-s (120 csomós) szélsebességgel és 943 hPa-os központi légnyomással. Ezt követõen Blanca gyorsan legyengült, 4-én és 5-én már csak az 1-es/2-es kategória határán mozgott az erõssége. Ezzel együtt a ciklon egy nagy méretû szemszerû képzõdményt alakított ki (a szemfal-kicserélõdési folyamat révén), a központban csak minimális zivatarfelhõzettel (alsó kép).

 

2015.06.03. 08:15 (helyi idõ)

 

2015.06.04. 13:15 (helyi idõ)

 

Blanca 4-én megindult északnyugat felé, ahol ismét meleg tengervíz fölé ért. Mivel a légköri feltételek továbbra is kedvezõek voltak számára, a melegebb víz felett 5-én újból erõsödni kezdett a hurrikán. 6-ára virradóan már elérte a 3-as kategóriát, majd reggel rövid idõre a 4-es kategória alsó határát is, 215 km/h-s (115 csomós) széllel és 943 hPa-os központi légnyomással. Ekkorra a hurrikán szeme kissé összehúzódott és kitisztult, körülötte pedig jól szervezett és vastag, szimmetrikus szemfal alakult ki (felsõ kép). Blanca ezután viszont szinte azonnal gyengülni kezdett, amint északnyugat felé haladva fokozatosan hidegebb víz fölé ért, és a magassági szél is erõsebbé vált a környezetében. Mindezek hatására a ciklon gyorsan vesztett erejébõl, és 7-én délután már csak erõs trópusi vihar volt, és ekkorra a struktúrája is jóval szervezetlenebbé vált (alsó kép). 8-án reggel Blanca gyenge trópusi viharként érte el a Kaliforniai-félsziget, majd 9-ére virradóan a partvidék mentén haladva fel is oszlott.

 

2015.06.06. 12:30 (helyi idõ)

 

2015.06.07. 14:01 (helyi idõ)

 

Carlos hurrikán

 

Blanca feloszlásával egy idõben egy újabb zivatartömb fejlõdött ki Mexikótól délre, mely lassanként északias irányba haladt. A rendszer gyorsan fejlõdött, és másfél nappal Blanca feloszlását követõen, 10-én délután trópusi depresszió lett. A ciklon ekkorra már strukturálisan is jól szervezett lett, spirális csapadéksávokkal és kiterjedt központi zivatarfelhõzettel (felsõ kép). Ennek ellenére csak 18 órával késõbb, 11-ére virradóan lett trópusi vihar, és ekkor kapta meg a Carlos nevet. Carlos napközben gyorsan erõsödve közepes erõsségû trópusi viharrá nõtte ki magát 95 km/h-s (50 csomós) szélsebességgel, de ezt követõen kissé több, mint egy napig stagnált az erõssége. 13-ára virradóan azonban újabb erõsödésbe kezdett, és napközben 1-es kategóriájú hurrikán lett. Eközben a központjában idõlegesen egy felhõkkel borított szem is kialakult (alsó kép). A hurrikán este érte el legnagyobb erõsségét 140 km/h-s (75 csomós) szélsebességgel és 978 hPa-os központi légnyomással.

 

2015.06.10. 12:15 (helyi idõ)

 

2015.06.13. 11:45 (helyi idõ)

 

Mivel Carlos lassan mozgott, Blancához hasonlóan lehûtötte maga körül a vizet, emellett pedig közel is került Mexikó partjaihoz. Emiatt 14-én fokozatosan gyengült, és a nap második felében visszafokozták erõs trópusi viharrá. Mindeközben azonban megtartotta szervezett struktúráját, habár egyre kisebb méretû lett (felsõ kép). A ciklon 14-én kissé gyorsabb mozgással északnyugat felé indult meg, és így ismét melegebb víz fölé ért. Ennek, és kis méretének köszönhetõen 15-én visszaerõsödött 1-es kategóriájú hurrikánná, majd 16-án délután a repülõgépes mérések alapján újabb szélsebességi csúcsot produkált 150 km/h-val (80 csomóval), mely alig maradt el a 2-es kategória alsó határától. A központi légnyomás viszont a korábbi minimumnál magasabbnak, 984 hPa-nak bizonyult. Carlos ekkorra már meglehetõsen kis méretûvé vált, a mérések alapján a hurrikán erejû (120 km/h-nál erõsebb) szelek zónája a központ mindössze 20 km-es, a trópusi vihar erõsségû (65 km/h-nál erõsebb) szelek zónája pedig a 75 km-es sugarú környezetére terjedt ki. Ennek ellenére a központjában rövid idõre egy igen kicsi szem is megjelent (felsõ kép). Carlos a következõ 24 órában Mexikó felé megindulva gyors mértékben legyengült, majd a partot elérve 17-én este fel is oszlott.

 

2015.06.14. 13:45 (helyi idõ)

 

2015.06.16. 12:45 (helyi idõ)

 

Viszonyításképp, a legkisebb állapotában Carlos teljes egészében elfért volna a Dunántúlon:

 

Az egyes ciklonokhoz köthetõ rekordok, érdekességek:

 

- Andres volt az 5. májusi erõs hurrikán az óceán ezen térségében a rendszeres mûholdas megfigyelések (1971) kezdete óta.

- Andres volt a májusban valaha legnyugatabbra kialakult erõs hurrikán ebben a térségben a rendszeres mûholdas megfigyelések kezdete óta.

- Bár Andres messze haladt el a szárazföldtõl, legyengülve összekapcsolódott egy mérsékelt övi ciklon áramlási rendszerével, mely a trópusi ciklontól nedves levegõt szállított Észak-Amerika nyugati partvidékére. Ennek következtében az arizonai, félsivatagi éghajlatú Phoenix-ben június 5-én közel 5 mm csapadék hullott. Az 1896-ban elkezdett mérések során korában még nem volt példa rá, hogy ezen a napon mérhetõ mennyiségû csapadékot jegyeztek fel a városban.

 

- Blanca volt az egy szezonon belül legkorábban kialakult 2. hurrikán, valamint erõs hurrikán a térségben a rendszeres mûholdas megfigyelések kezdete óta.

- Blanca volt az egy szezonon belül legkorábban partot érõ trópusi ciklon a Kaliforniai-félszigeten a rendszeres megfigyelések (1949) kezdete óta.

 

- Carlos volt az egy szezonon belül legkorábban kialakult 3. hurrikán a térségben a rendszeres mûholdas megfigyelések kezdete óta.

- Bár erre vonatkozólag nincs hivatalos rekordnyilvántartás, minden bizonnyal Carlos volt a térségben valaha megfigyelt legkisebb, vagy legalább az egyik legkisebb méretû hurrikán.

 

 

A ciklonok erõssége:

 

A ciklonok útvonala:

 

Mûholdkép-animáció a ciklonokról:

 

 

Az adatok forrása: National Hurricane Center (NHC),

Mûholdképek: Naval Research Laboratory, NOAA

Útvonal: Wikipedia (a fenti NHC adatok alapján)

 

Írta: Hérincs Dávid (Zivipötty)

Vissza a hírek főoldalra