Hurrikánok és tájfunok
Hasznos linkek
>> National Hurricane Center>> Joint Typhoon Warning Center
>> Weather Underground
>> Tropical Tidbits
Horacio "személyében" tegnap megvolt az idei első Cat 5-ös ciklon (legalább is a JTWC becslése szerint).

Ahhoz képest, hogy Luana már két napja partot ért Ausztrália északnyugati részén, még mindig elég szép "land depression".

Ma hivatalosan is lezárult a ‘25-ös atlanti szezon. ACE tekintetében bőven átlag feletti volt, főleg, hogy volt 3 db cat5 is, ami hozzájárult ehhez.

Meg is lett indíva az eszkaláció rendesen. Bár a hivatalos előrejelzés most még csak Cat 3-nak várja, én nagyon meglepődnék, ha nem érné el az 5-ös erősséget. Viszont a korábbiakhoz képest kicsit gyorsabb mozgásúnak várják a modellek, ezért kb. bő 1,5 napja van a partotérésig.

Igen. Az Atlati-óceánon és a Csendes-óceán keleti réazén, ahol szintén hurrikán a nevük. Azonban a délnyugat-Csendes -óceánon Wintston (2016) még ennél is fülropogtatóbb volt; ő 884 hPa-lal szállt a partra, szóval eddig ő a basszájba
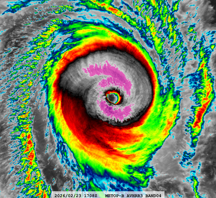
Az valós, jól látom, hogy Melissa a 892mb központi légnyomással a Labor Day-jel együttesen az első helyre került minden idők legerősebb partot érő hurrikánjai között?
Na ez egy baromira jó felvétel a Dorian cat 5. hurrikán szemében a Bahamákról! Link
Ilyen tényleg egyszer van az ember életében!! Gratulálok az úrnak, hogy volt esze/töke elővenni a kamerát!
Ilyen tényleg egyszer van az ember életében!! Gratulálok az úrnak, hogy volt esze/töke elővenni a kamerát!
Na a legütősebb a Treasure Beach környékén a helyzet, ott a szem áthaladóban: Link Link Fogalmazzunk úgy hogy most Jamaika Délnyugata. Santa Cruz élő is visszajött szerencsére Link
Azért még a pre-hurricane squall-lineok is szépek voltak sziget-szerte. Link
Ezt még egyszer érdemes megnézni, szemfal is Link
Link
Azért még a pre-hurricane squall-lineok is szépek voltak sziget-szerte. Link
Ezt még egyszer érdemes megnézni, szemfal is Link
Link
Sziasztok ez Santa Cruz, Jamaica 
Link
Remélem újból bejelentkeznek. Eléggé éles volt eddig, csak megszakadt...
Link
Remélem újból bejelentkeznek. Eléggé éles volt eddig, csak megszakadt...
Órák kérdése és partot ér a szem Link
Vajon lesz-e valaki ott, aki a szemben állva csinál képet!?
Vajon lesz-e valaki ott, aki a szemben állva csinál képet!?
Érdekes, hogy a partotérés előtti órákban, amikor a ciklon potenciálisan a legerősebb, nem volt Recon mérés, és ez már nem először fordul(t) elő.
Most bezzeg megy két gép is, az egyik azért kb. fél óra múlva már odaér a szemhez, de a másik még csak Floridánál jár, az már lehet csak a partotérésre lesz ott.
Most bezzeg megy két gép is, az egyik azért kb. fél óra múlva már odaér a szemhez, de a másik még csak Floridánál jár, az már lehet csak a partotérésre lesz ott.
A szemfalcsere egy hurrikánnál milyen időközönként szokott lenni általában?
Csak mert ez a Melissa amióta nézem, nem ment át szemfalcserén!
Csak mert ez a Melissa amióta nézem, nem ment át szemfalcserén!
Nézd a frisset, nem ússzák meg, vánszorog a sziget felé.
Egy kép a Recontól a szemben:
Egy kép a Recontól a szemben:

Közel 280 km/h a becsült szél benne Link
Kegyetlen egy dög!
Jó lenne találni élő kamerákat a déli parton, vagy videókat.
Brutális!
Mondjuk most olvasom egy amcsi viharvadász oldalán, hogy 330 km/h-s széllökések vannak benne.
Esseszar, Melissa szemében.
Kegyetlen egy dög!
Jó lenne találni élő kamerákat a déli parton, vagy videókat.
Brutális!
Mondjuk most olvasom egy amcsi viharvadász oldalán, hogy 330 km/h-s széllökések vannak benne.
Esseszar, Melissa szemében.

Elég sok helyen, köztük Kingstonban is kötelező érvényű evakuálás van érvényben. A jamaicai met szolgálat 4m-es vihadagályra számít. És ahogy írtátok, nincsenek modernkori feljegyzések ilyen erősségű hurrikánról Jamaica partvidékéről.
Szomorú. Gyakorlatilag akkora ez a hurrikán, hogy nincs olyan hely Jamaicán ahová úgy lehetne evakuálni, hogy ott mindenki biztonságban legyen.
Szomorú. Gyakorlatilag akkora ez a hurrikán, hogy nincs olyan hely Jamaicán ahová úgy lehetne evakuálni, hogy ott mindenki biztonságban legyen.
Utána meg megy Kubának, Santiago de Cuba is telibe.
De lehet ahogy átmegy Jamaicán, kicsit gyengül majd, szerintem Jamaica jár a legrosszabbul.
De lehet ahogy átmegy Jamaicán, kicsit gyengül majd, szerintem Jamaica jár a legrosszabbul.
Több helyen azt írják, hogy 5-ösként ér partot, ami még nem történt meg a szigeten, ráadásul elég lassan mozog, szóval nagy darálás lesz ott.
Úgy látszik, az NHC nem akarja besorolni ezt az Azori-szigetek mellett lévő kis ingyombingyomkát (tegnap óta 10 %-on tartják), pedig egyrészt nagyon cukorfalat, másrészt szerintem már elmenne szubtrópusinak. 

Nem. A Fudzsivara-effektusnál egy közös egyensúlyi pont körül “keringenek”. Itt simán az északi hidegfront egymásba préseli őket.
Gabika végül már az Azori-szigetekig sem bírta ki hurrikánként, nemrég poszt-trópusi lett. De azért valószínűleg így is hurrikán erejűként fog átvonulni a szigetek felett.

Bocsánat, valóban rosszul írtam, akkor trópusi vihar.
Péntekre érdemes lenne az Azori-szigetekre kiruccanni hurrikánt nézni.
Péntekre érdemes lenne az Azori-szigetekre kiruccanni hurrikánt nézni.

A hurrikán és a trópusi ciklon ugyan az, de gondolom ex-trópusit akartál írni.
Minden modell azt várja, hogy a Gabrielle hurrikán a hétvégére a portugál partoknál érne partot.
Gondolom nem hurrikánként, hanem trópusi ciklonként.
Gondolom nem hurrikánként, hanem trópusi ciklonként.
Ahhoz mennyire kell összeszervezetlenségnek lennie, hogy egyszerre két megegyező nevű trópusi ciklon legyen a Földön?
A szorulás után jött a hasmenés. 
- - - - - - - - -
Akit érdekel, rendszereztem a medikános elemzéseimet: Link
- - - - - - - - -
Akit érdekel, rendszereztem a medikános elemzéseimet: Link
2-3 órája ért partot Vietnámban. Igaz, ott már “csak” 169 km/h-t mértek, de a kb fél millió lakosú Ha Tinh-t átrendezte ez is.














