2026. március 20., péntek

Hurrikánok és tájfunok

Adott napon: 
Keresés:
#6861
Így kell kimaxolni egy partraszállást; bő fél nap alatt cat1-ből cat4 a végére, hogy érezzék a törődést.

beillesztett kép

#6860

beillesztett kép

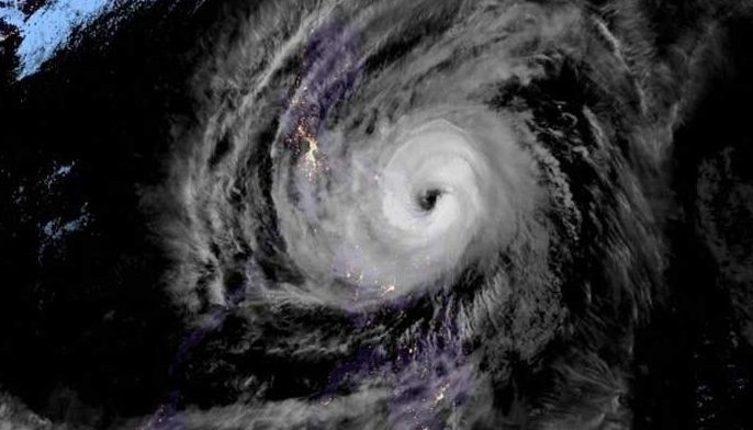
#6859
Már folyik a partraszállási hadművelet; 190 km/h-s széllel, 220-as lökésekkel (951hPa)

beillesztett kép



video - Link
#6858

beillesztett kép

#6857
A konvekcióra nem lehet panasz nevet

beillesztett kép



Viszont a szervezettség még nem az igazi. A nyírás még bekavar (szó szerint) a levesbe. A modellek szerint ez lassan változni fog, így indulhat az RI
#6856
ECMszeret

beillesztett kép

#6855
Adja neki rendesen

beillesztett kép

#6854
Adja neki rendesen

beillesztett kép

#6853
Hamarosan tájfun

beillesztett kép

#6848
Kammuri kezd ráérezni a dolgokra nevet Szépen szerveződik és a modellek 60-80% esélyt adnak RI-re (Rapid Intensification)

beillesztett kép

#6845
A WAPAC nagyon belehúzott így a szezon végére nevet Pontosabban felvette a szokásos tempót.

Szinte majdnem minden investből ciklon lett az elmúlt hetekben. És már itt is az újabb tájfun-jelölt (vagyis van éppen 2 is).

A 94W-re már ki is ment a risztás: "THE POTENTIAL FOR THE DEVELOPMENT OF A SIGNIFICANT TROPICAL CYCLONE
WITHIN THE NEXT 24 HOURS IS HIGH." szeret Ez ECM be is durvítja rendesen

beillesztett kép

Havazás előrejelzés

Utolsó észlelés

2026-03-20 06:00:15

Zirc

0.5 °C

Észlelési napló

Térképek

Radar
map
Aktuális hõmérséklet
map
Aktuális szél
map

Utolsó kép

156948

Hírek, események

Mediterrán ciklon hoz csöppnyi tavaszt és kicsivel több telet

Időjárás-változás | 2026-02-18 12:39

pic
Jelentős változást hoz hazánk és a térség időjárásába egy mediterrán ciklon, ami egy kis tavaszt és egy kis telet is tartogat.