Hurrikánok és tájfunok
Hasznos linkek
>> National Hurricane Center>> Joint Typhoon Warning Center
>> Weather Underground
>> Tropical Tidbits
Ahogy nézem a térképet amit kültél és a modelleket nagyon fogja keresni a melegvizeket. Arra akkarok kilyukadni hogy ÉNY fordul a csendesen és a Mexikó nyugati part menti melegvizei felett megszívja magát. Ki tudja akkár Cat 5 is lehet belőle.
Mivel ilyenkor már a modelleken látható "következő havazással" illik inkább foglalkozni, egy "Crossover Kappa" azért még jól mutatna az idei kollekcióban, meg így végre az EPAC-on is elérnénk a görög neveket. 
Mondjuk egy-két modell alapján azért nem lehet kizárni azt sem, hogy az Iota legalább gyenge TD-ként átérjen a túloldalra.
Mondjuk egy-két modell alapján azért nem lehet kizárni azt sem, hogy az Iota legalább gyenge TD-ként átérjen a túloldalra.

Egy Bluefieldsi haverom 4 órája azt írta hogy a város nagy részét evakuálták a reptért lezárták illetve a tengerparton 1,5 - 2 m magasan homokzsákokat helyezetek védekezve a vihardagály és a hullámok ellen. Aki tudott elment rokonokhoz aki nem az maradt és védi ingóságait. A városban a korházban az iskolában és a templomokban elhelyezték azokat akik a tengerhezz legközelebb élnek.
Tekintve hogy a vihar Cat 5 szerintem nem nagyon fogja megvédeni az áradástól a várost ráadásul a várost északon folyó határolja.
Tekintve hogy a vihar Cat 5 szerintem nem nagyon fogja megvédeni az áradástól a várost ráadásul a várost északon folyó határolja.
"Nyugdíjazásban" azért lehet hozná a 2005-ös számot (5) az idei szezon is, ha nem a görög neves ciklonok lettek volna a legerősebbek és legpusztítóbbak.
Egyelőre úgy néz ki, hogy Puerto Cabezas (Bilwi) lesz az útjában.
Ez egy 70ezres város.
Nekem gyönyörű ez a Iota de nekik legrosszabb rémálmuk...
Ez egy 70ezres város.
Nekem gyönyörű ez a Iota de nekik legrosszabb rémálmuk...
Helyzetjelentés Iota pusztításáról.
Kolumbiai kollégám (aki nem mellesleg anno még az ELTE-n is tanult) küldte:
"Total devastation in Providencia Island. Iota had destroyed the infrastructure with wind of an cat 5, 260 km/h. Tomorrow we will know details of this catastrophe in the colombian island"
Kolumbiai kollégám (aki nem mellesleg anno még az ELTE-n is tanult) küldte:
"Total devastation in Providencia Island. Iota had destroyed the infrastructure with wind of an cat 5, 260 km/h. Tomorrow we will know details of this catastrophe in the colombian island"
Jó, hogy belinkelted az egész hozzászólás-láncot, de ebből még mindig nem derül ki a válasz. 
Az, hogy tegnap reggel beírtam, hogy nem erősödött sokat akkor éjjel, pusztán egy akkori helyzetjelentés volt, ahogy láthattad, semmi utalás nem volt a jövőjére vonatkozóan. Nem úgy, mint a ma hajnali hozzászólásomban.
Az, hogy tegnap reggel beírtam, hogy nem erősödött sokat akkor éjjel, pusztán egy akkori helyzetjelentés volt, ahogy láthattad, semmi utalás nem volt a jövőjére vonatkozóan. Nem úgy, mint a ma hajnali hozzászólásomban.
Az elmúlt 169 évben csak 10 db atlanti hurrikán csinálta meg azt az erősödést, amit most Iota. Adalék a beteg szezonhoz, hogy a 10-ből 3 az idén volt
Labor Day 1935
Camille 1969
Andrew 1992
Rita 2005
Wilma 2005
Felix 2007
Matthew 2016
Maria 2017
Labor Day 1935
Camille 1969
Andrew 1992
Rita 2005
Wilma 2005
Felix 2007
Matthew 2016
Maria 2017

Idén alábecsültek minden hurrikánt.
Illetve lehet hogy máskor is alá szokták becsülni, azt nem tudom.
Illetve lehet hogy máskor is alá szokták becsülni, azt nem tudom.
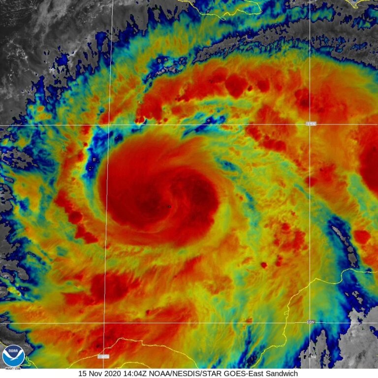
Most fog majd megszaladni, kezd tisztulni a szem. Csinos az a feeder band is a nyugati oldalán. Nemsokára odaér a Recon, meglepődnék, ha nem (legalább) Cat 3-nak mérnék majd.

Szép. Bár sokadt nem erősödött. Mondjuk néhány modell már 4-es nek várja a partott érésnél. Meglátjuk.
Hacsak Eta-nak meg nem adják utólag. 
Egyébként örülök, hogy végre az amerikaiak is használni fognak ékezetes betűket, így sokkal jobban idomul majd a nyelv a magyarhoz.
Egyébként örülök, hogy végre az amerikaiak is használni fognak ékezetes betűket, így sokkal jobban idomul majd a nyelv a magyarhoz.
A leendő Ióta (Zivatarfolt kedvéért: a nagy i betű
) előtt igen kedvező terület van erősödés szempontjából. Nyírás kb nuku, a Karib-tenger meleg, mint a lábvíz, száraz levegő sehon. Nem csoda, ha néhány előre beleszalad a cat5-be. Már csak az hiányzik ebből a beteg szezonból.






















