Hurrikánok és tájfunok
Hasznos linkek
>> National Hurricane Center>> Joint Typhoon Warning Center
>> Weather Underground
>> Tropical Tidbits
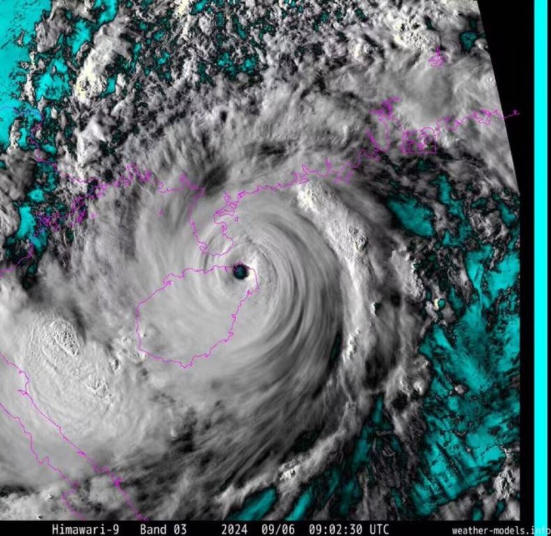
Az marhajó, ahogy lement arról a szigetről, visszaért a vízfelszín fölé és már erősödik is vissza Link
A legerősebb széllökést viszont egy másik állomás vitte 66,9 m/s-mal.
Egy 50 m magasan lévő állomás (a helyi Lágymányos
) 73,8 m/s-ot mért. Szép!
Egy 50 m magasan lévő állomás (a helyi Lágymányos

