2026. március 14., szombat

Hurrikánok és tájfunok

Adott napon: 
Keresés:
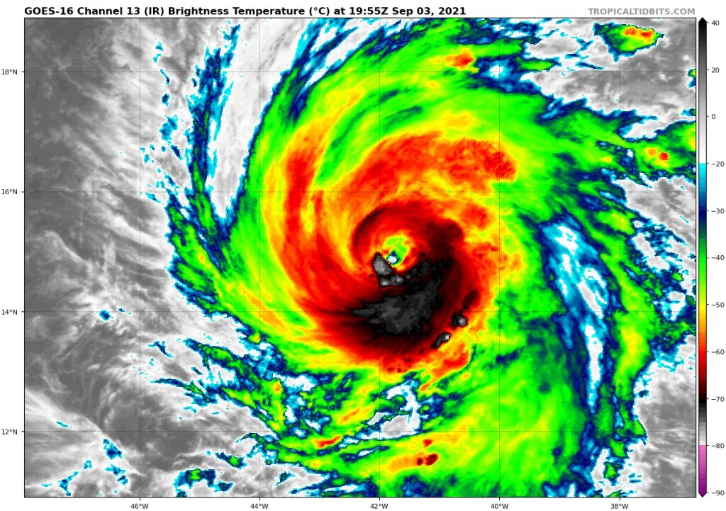
#7635
És most nyílt ki a szeme.

beillesztett kép

#7634
Van azért még egypár verzió, de ez sem esélytelen. nevet

beillesztett kép

#7631
Larry lesz a következő "majorka" ha minden igaz, már most is elég jól néz ki és majdnem hurrikán, pedig még alig hagyta el a Zöld-foki-szigetek térségét.

beillesztett kép

Havazás előrejelzés

Utolsó észlelés

2026-03-14 07:46:30

Csesznek

8.0 °C

RH: 56 | P: 1008.0

Észlelési napló

Térképek

Radar
map
Aktuális hõmérséklet
map
Aktuális szél
map

Utolsó kép

156672

Hírek, események

Mediterrán ciklon hoz csöppnyi tavaszt és kicsivel több telet

Időjárás-változás | 2026-02-18 12:39

pic
Jelentős változást hoz hazánk és a térség időjárásába egy mediterrán ciklon, ami egy kis tavaszt és egy kis telet is tartogat.