Hurrikánok és tájfunok
Hasznos linkek
>> National Hurricane Center>> Joint Typhoon Warning Center
>> Weather Underground
>> Tropical Tidbits
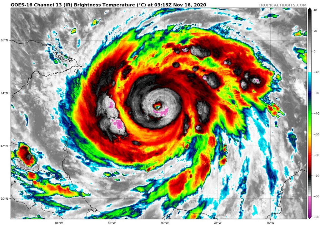
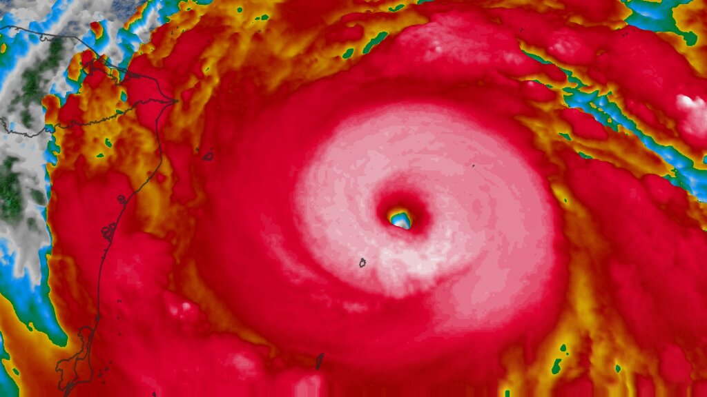
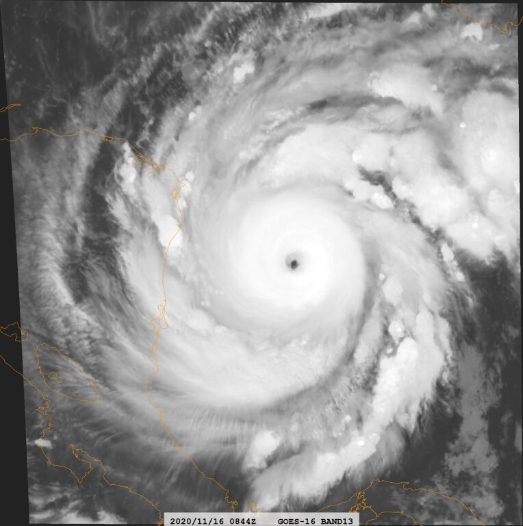
Most fog majd megszaladni, kezd tisztulni a szem. Csinos az a feeder band is a nyugati oldalán. Nemsokára odaér a Recon, meglepődnék, ha nem (legalább) Cat 3-nak mérnék majd.

Szép. Bár sokadt nem erősödött. Mondjuk néhány modell már 4-es nek várja a partott érésnél. Meglátjuk.



















