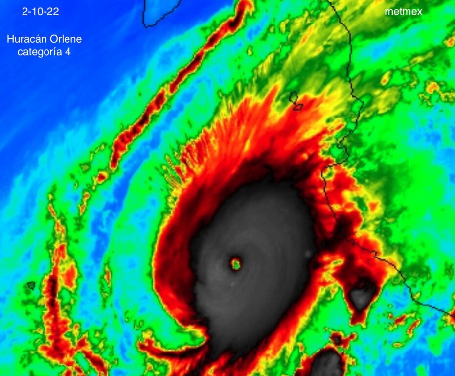
Csóri NHC Orlene-t is benézte szomoru

Oszt most meg már cat4 és megy rá Mexicora

beillesztett kép