Hurrikánok és tájfunok
Hasznos linkek
>> National Hurricane Center>> Joint Typhoon Warning Center
>> Weather Underground
>> Tropical Tidbits
Illetve a névvel ellátott ciklonok közül még csak a 29-dik, de ez a rekord tényén nem változtat.
Eddig 3 volt neki, még Nicaragua-ban, aztán Kubában és Florida déli részén. Azt nem tudom, hogy e tekintetben egyáltalán tartanak-e nyilván rekordot, de a 4-5 partot érés a karibi ciklonoknál teljese megszokott, ha több kisebb-nagyobb szigetet, majd az Egyesült Államokat vagy Mexikót is érintik.
Pl. az 1979-es David-nak ha jól látom 6 partot érése is volt: Dominika (Kis-Antillák), Hispaniola, Kuba, Andros (Bahama-szigetek, de lehet, hogy még kisebb szigeteket is érintett előtte), Florida, Georgia. Link
Pl. az 1979-es David-nak ha jól látom 6 partot érése is volt: Dominika (Kis-Antillák), Hispaniola, Kuba, Andros (Bahama-szigetek, de lehet, hogy még kisebb szigeteket is érintett előtte), Florida, Georgia. Link
Komoly kis fejlődés-visszafejlődés története van már eddig is...
Hány partot érése volt már? Ebből melyik eddigi hurrikán lehet a rekorder?
Talán a 2005-ös Wilma volt hasonló útvonalú, bár az jóval erőteljesebb (talán a legerősebb?) hurrikán volt.
Talán a 2005-ös Wilma volt hasonló útvonalú, bár az jóval erőteljesebb (talán a legerősebb?) hurrikán volt.
Feltéve persze, hogy tényleg arrafelé megy majd, mert a legutóbbi modellek már inkább nyugat felé tendálnak. Link
Theta-ra is érdemes lesz majd figyelni, nem kizárt, hogy komolyabban is érintse Madeirát.
Theta-ra is érdemes lesz majd figyelni, nem kizárt, hogy komolyabban is érintse Madeirát.
Még egy kis Ianos, úgy látszik az amerikaiak (is) elfogadják trópusinak/hurrikánnak (ez ugyan valami mezőgazdaság jelentés, de a NOAA és a NWS is közreműködik benne). "A pair of rare tropical cyclones hit southwestern and southeastern Europe, while dry weather prevailed across most of the rest of the continen."
Link
Link
A 6-os GFS-nél azért nem volt rossz az a Honduras - Közép-Kuba - Florida Keys - Nyugat-Kuba - Yucatán-félsziget - Alabama-Florida határvidék útvonal, és mindez 17-éig bezárólag.
Így van. Nagy kár, hogy az előző Recon-nak (is) vissza kellett fordulnia, az lehet bemérte volna a Cat 5-öt néhány órával ezelőtt.
Már 5-ösnek várják. Elképesztő módon erősödik.
Érdekes egyébként, az utóbbi néhány hurrikán és tájfun esetében figyeltem fel rá, hogy sokkal erősebbre fejlődnek, mint amit a modellek 1-2 nappal előtte jeleznek. Laura, Delta, Goni, és most Eta is.
Érdekes egyébként, az utóbbi néhány hurrikán és tájfun esetében figyeltem fel rá, hogy sokkal erősebbre fejlődnek, mint amit a modellek 1-2 nappal előtte jeleznek. Laura, Delta, Goni, és most Eta is.
Kint a RECON Eta-nál. 8 hPa-lal mélyebbnek méri (992 hPa) a szonda, mint a predikciók. Így lehet, hogy ez is változni fog hamarosan

Kíváncsi vagyok, hogy valóban így lesz-e. A GFS elég érdekes pályát vizionál neki, 4 (!) partot éréssel, úgy hogy még 10 nap múlva is ott forog Florida északi részénél... Keep tracking it
Ez az ETA egy érdekes cucc lesz, lesz egy mexikói partot érés és átmeneti döglés után megy szépen Florida felé.
Ez azért nagyon nagy eltérés ahhoz képest, amilyen adatokat partot érés előtt közvetlenül lehetett vele kapcsolatban olvasni. Mikor gyengült közel 100 km/órát benne a szél? Mi számít konkrét "landfall"-nak? Amikor a szem partot ér, vagy amikor a szem középpontja partot ér? A műhold és infra képek alapján a szem tökéletesen ép volt egészen addig, amíg teljes terjedelmével fölé nem ért az első nagyobb szigetnek, Catanduanesnek. Ez alapján a szemfal teljes erejével érte el a szigetet, és csak utána kezdhetett gyengülni. Szóval ha akkor a 225/315 adatok voltak az igazak, akkor a 315/380 korábbi adat sántít. Nem lehet, hogy az egyperces szélátlagot a tízpercessel keverik/hasonlítják össze?
Persze. Az üzemanyag lecsökken, ráadásul az orográfia is összekuszálja a szabályos áramlásokat.
Nem találom például ezt a Fülöp-szigeteki tájfunt, csak az Atlanti-óceániakat látom!
Hol vannak a tájfunos térségek?
Hol vannak a tájfunos térségek?
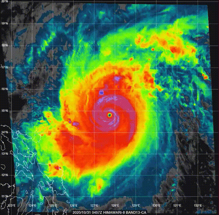
Megosztom egy fülöp-szigeteki kolléganő által közzétett információkat Goniról és összehasonlítását Haiyannal:
"Goni was at max sustained winds of 225kph, gusts up to 280kph upon landfall.Haiyan was at max sustained winds of 315 kph, gusts up to 379kph upon landfall. But diameter of Haiyan was much larger. As per local state weather bureau PAGASA.For Goni, storm surges up to 3 meters expected in affected coastal areas. Haiyan’s went up to 5 meters."
"Goni was at max sustained winds of 225kph, gusts up to 280kph upon landfall.Haiyan was at max sustained winds of 315 kph, gusts up to 379kph upon landfall. But diameter of Haiyan was much larger. As per local state weather bureau PAGASA.For Goni, storm surges up to 3 meters expected in affected coastal areas. Haiyan’s went up to 5 meters."
Mert már a szemfal (ill. a CDO belső része) is kölcsönhat a szárazfölddel. Kevésbé működik hatékonyan, mert elfogy alóla a hő, így nő a harmatpont, csökken a hőmérséklet a szemben és befelhősödik.
Én mondtam hogy Hayian 2.0 lesz. De akkor is AZTA K.RVA. Ilyen szél mellett még a kő ház se véd meg itt már föld alá kell bújni. De azt nem értem hogy a moddelek vagy a windy mért csak mezei 3.as vagy 4.esnek jelzi ?
360-380 km/h körül van. A kőházakon kívül gyakorlatilag minden teljesen megsemmisül.
Közben kint van a parton
Közben kint van a parton

Remélem ember nincs már azon a vidéken...
Ez őrület. Hogyan lehet ilyenre felkészülni?
És vajon milyen széllökések lehetnek, 400km/h körül?
Ez őrület. Hogyan lehet ilyenre felkészülni?
És vajon milyen széllökések lehetnek, 400km/h körül?
37 millió ember lesz az útjában, ha valóban ott fog elmenni, ahol most várható

Öhm Goniból szerintem Hayian 2.0 lesz mikor partott ér.
Keszdem sajnálni a Füllöp-szigeten élőket. Amúgy most már 890 hPa a köszponti légnyomás és az 1 perces állandó már 300 km/h. Azért ez nem semmi.
Keszdem sajnálni a Füllöp-szigeten élőket. Amúgy most már 890 hPa a köszponti légnyomás és az 1 perces állandó már 300 km/h. Azért ez nem semmi.
Van ilyen vagy ehhez hasonló oldal a Kelet-Csendes-Óceán trópusi viharaira Link ?
Ha van, kérlek egy linket lécci, köszönöm!
Ha van, kérlek egy linket lécci, köszönöm!















